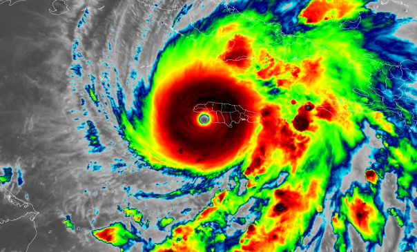
(CNN) – Hurricane Melissa was squarely over western Jamaica, about three hours after it made landfall as one of the strongest Atlantic hurricanes in history. It has since lost some strength, and it is now a dangerous Category 4 storm.
“There is extensive, extensive damage in the southwestern areas, in St. Elizabeth, major damage in St. Elizabeth, a lot of flooding, extensive wind damage to schools, hospitals out there, homes,” Richard Thompson, Director General of the Office of Disaster Preparedness and Emergency Management (ODPEM), told CNN Tuesday.
Black River Hospital in St. Elizabeth has also been hit, Thompson said, adding that the magnitude of the damage is not yet known.
The fire brigade is carrying out emergency rescue operations in the neighboring parish of Manchester, Thompson added.
Melissa is responsible for seven deaths — three in Jamaica during storm preparations, three in Haiti, and one in the Dominican Republic.
Approximately 25,000 tourists are currently in Jamaica, the country’s tourism minister said in a statement Tuesday.
After moving over Jamaica, Melissa will hit Cuba. The hurricane is forecast to make landfall in southeastern Cuba overnight, likely a few hours after midnight, as either a Category 4 or a high-end Category 3 storm.
Heavy rain has already begun in Cuba with tropical storm-force winds reaching some coastal areas. Hurricane-force winds will arrive later Tuesday and continue overnight. These winds will also generate up to 12 feet of life-threatening storm surge, especially around landfall.
Melissa will track through Cuba early Wednesday morning and enter the Atlantic Ocean likely just after sunrise.
The hurricane will then move through the central and southeastern Bahamas Wednesday. It could be a Category 3 or high-end Category 2 hurricane at the time.
